jueves, abril 30, 2026
AtaRDecer
  • ÚLTIMAS
  • REPÚBLICA
    • EDUCACIÓN
    • GOBIERNO
    • SALUD
    • POLÍTICA
    • POLICÍA
    • PROVINCIAS
    • CLIMA
  • DEPORTES
    • BEISBOL
  • ECONOMÍA
    • FINANZAS
    • ELECTRICIDAD
    • MEDIO AMBIENTE
    • TURISMO
  • MUNDO
    • AMERICA LATINA
    • CIENCIA
    • ESPANA
    • ESTADOS UNIDOS
  • ENTRETENIMIENTO
    • SERIES
    • URBANO
    • CULTURA
    • MUSICA
    • SOCIALES
    • ESTILO DE VIDA
    • CINE
    • FARANDULA
    • REDES SOCIALES
    • GASTRONOMÍA
    • TECNOLOGÍA
Sin resultado
Ver todos los resultados
  • ÚLTIMAS
  • REPÚBLICA
    • EDUCACIÓN
    • GOBIERNO
    • SALUD
    • POLÍTICA
    • POLICÍA
    • PROVINCIAS
    • CLIMA
  • DEPORTES
    • BEISBOL
  • ECONOMÍA
    • FINANZAS
    • ELECTRICIDAD
    • MEDIO AMBIENTE
    • TURISMO
  • MUNDO
    • AMERICA LATINA
    • CIENCIA
    • ESPANA
    • ESTADOS UNIDOS
  • ENTRETENIMIENTO
    • SERIES
    • URBANO
    • CULTURA
    • MUSICA
    • SOCIALES
    • ESTILO DE VIDA
    • CINE
    • FARANDULA
    • REDES SOCIALES
    • GASTRONOMÍA
    • TECNOLOGÍA
Sin resultado
Ver todos los resultados
AtaRDecer
Sin resultado
Ver todos los resultados
INICIO REPÚBLICA

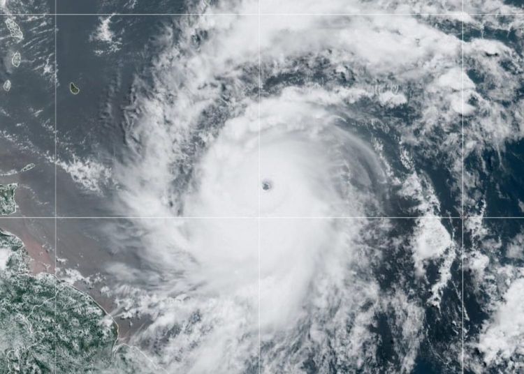
República Dominicana en máxima alerta ante Huracán Beryl

Atardecer Prensa Por Atardecer Prensa
2 julio, 2024 2:41 PM
En REPÚBLICA
0
Beryl

Beryl

Share on FacebookShare on Twitter

SANTO DOMINGO.- El huracán Beryl ha alcanzado la categoría máxima de cinco, encendiendo todas las alarmas en la República Dominicana. Las autoridades han activado la sala de crisis con la presencia del Comité de Operaciones de Presas en Emergencia, el director del Instituto Nacional de Recursos Hidráulicos y el de la Empresa de Generación Hidroeléctrica.

El Centro de Operaciones de Emergencias ha ordenado que todas las embarcaciones permanezcan en puerto desde Miches (El Seibo) hasta Isla Beata, frente a las costas de Pedernales, debido a la peligrosidad y fuerte oleaje del huracán. La Armada de la República Dominicana ha instruido a los administradores de astilleros, clubes náuticos, marinas deportivas y propietarios de embarcaciones a resguardar sus naves y aumentar las medidas de seguridad.

El Ministerio de Obras Públicas y Comunicaciones ha activado el Comité de Emergencia y Sala de Situación, así como el Plan Operativo de Preparativos y Respuestas a Emergencia del MOPC. De igual manera, el Ministerio de la Vivienda y Edificaciones (MIVED) y el Ministerio de Medio Ambiente y Recursos Naturales han activado sus comités de emergencia, disponiendo el cierre de áreas protegidas en las provincias bajo alerta amarilla y estableciendo protocolos de evacuación y vigilancia.

El Instituto Dominicano de Aviación Civil (IDAC) y otras entidades, como la Autoridad Portuaria Dominicana, EDESUR, CAASD, INAPA y OPRET, han activado sus planes de emergencia. El Ayuntamiento del Distrito Nacional ha ordenado labores de limpieza y supervisión en puntos críticos, así como el cierre de parques y plazas.

El Ministerio de Salud y el Servicio Nacional de Salud han instruido la activación de sus comités de emergencia, asegurando que los equipos de respuesta estén listos. Los Comedores Económicos han dispuesto la distribución de alimentos en las áreas afectadas.

Publicación anterior

PN abate a “Doble A” en intercambio de disparos; le ocupan pistola ilegal

Siguiente publicación

Huracán Beryl vuelve a categoría 4 cerca de la Isla Beata

Atardecer Prensa

Atardecer Prensa

Somos un medio digital que busca con credibilidad, imparcialidad e inmediatez mantener a los lectores actualizados con diversas informaciones, tanto en el ámbito nacional como internacional.

Siguiente publicación
Beryl 1

Huracán Beryl vuelve a categoría 4 cerca de la Isla Beata

-Anuncio-

LAS MÁS RECIENTES

Senado aprueba Sistema Nacional de Alertas (ALERTARD) para desaparecidos

29 abril, 2026 10:00 PM
prision preventiva contra cuatro implicados en estafa piramidal  1 focus 0 0 608 342

Prisión preventiva para profesor acusado de acoso sexual contra estudiante

29 abril, 2026 9:58 PM

Más de 834 mil motociclistas fueron fiscalizados en 2025, según DIGESETT

29 abril, 2026 9:56 PM


Logo Atardecer, S.R.L.
Atardecer
Donde el día termina, la noticia comienza.

Mapa web

Contáctenos

¿Tienes preguntas, ideas o simplemente quieres saludar? Estamos aquí para ayudarte.

  • Teléfono: 829-922-0990
  • Correo Electrónico: atardecerdigital@gmail.com
Sin resultado
Ver todos los resultados
  • Ultimas Noticias
  • REPÚBLICA
    • EDUCACIÓN
    • GOBIERNO
    • POLICÍA
    • POLÍTICA
    • PROVINCIAS
  • MUNDO
    • AMERICA LATINA
    • CIENCIA
    • ESPANA
    • ESTADOS UNIDOS
  • ENTRETENIMIENTO
    • CINE
    • FARANDULA
    • GASTRONOMÍA
    • REDES SOCIALES
    • SERIES
    • URBANO
  • ECONOMÍA
    • ELECTRICIDAD
    • FINANZAS
    • MEDIO AMBIENTE
    • TURISMO
  • REVISTA
    • CULTURA
    • ESTILO DE VIDA
    • SOCIALES
    • MUSICA
  • SALUD
  • TECNOLOGÍA
  • AVISO LEGAL
    • Política de Privacidad
    • Historia
    • Política Editorial
    • Contactos

© 2026 Atardecer, S.R.L. - Powered by Desechaus.

Salir de la versión móvil