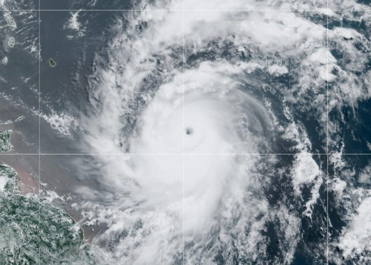
SANTO DOMINGO.- El huracán Beryl se ha fortalecido aún más y tocó tierra en la isla Carriacou, en Granada, con vientos máximos sostenidos de 241 km/h, informó el Centro Nacional de Huracanes (NHC).
A las 11:10 a.m. (hora local), el ojo de Beryl tocó tierra en Carriacou, ocasionando fuertes vientos y condiciones peligrosas en la región.
Se espera que el huracán se desplace rápidamente hacia el oeste y el oeste-noroeste durante los próximos días. En su trayectoria prevista, el centro de Beryl se moverá a través del sureste y centro del Mar Caribe desde hoy hasta el miércoles.
El huracán pasará justo al sur de Barbados y entrará en el Mar Caribe, dirigiéndose hacia Jamaica y posteriormente a México. Según el pronóstico actual, el huracán no afectará a Cuba.
El gobierno de Jamaica ha emitido una alerta de huracán para la isla. Además, hay alertas de huracán vigentes para Barbados, las Islas San Vicente y las Granadinas, Granada y Tobago. Martinica, Trinidad y Santa Lucía están bajo aviso de tormenta tropical.
https://atardecer.com.do/clima/beryl-vuelve-a-convertirse-en-huracan-categoria-4/
En la República Dominicana, se han emitido alertas para la costa sur desde Punta Palenque hasta la frontera con Haití, y para la costa sur de Haití desde la frontera con República Dominicana hasta Anse d’Hainault.
Las autoridades instan a las poblaciones afectadas a tomar medidas de precaución y seguir las recomendaciones de los organismos de emergencia locales.




